Description
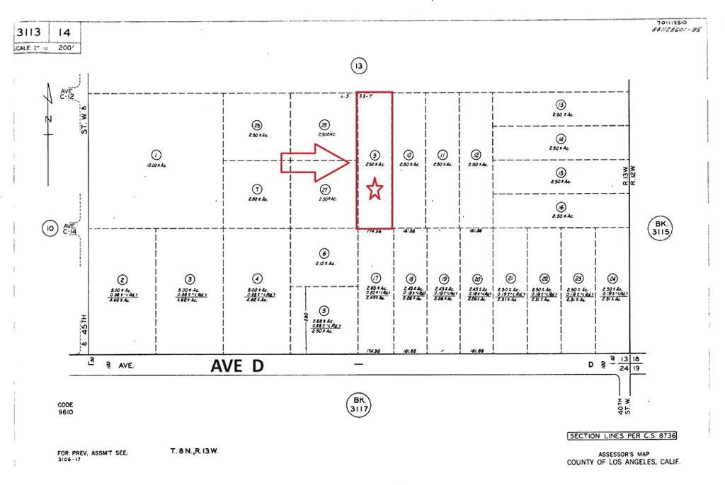
2.50 Acres of land, corner lot, it is a great investment opportunity in the developing Antelope Valley where land is still affordable. Zoned R-A, residential agricultural, cross streets are Ave C12 & 43rd St. West within the community of Caliche, existing ranch homes around the subject land. Located just 1 hour north of Los Angeles. Zoning: R-A , 2.5 Acres ; Size: 662 x 165; APN: 3113-014-009 ; GPS: 34.778431, -118.206045
-
0BEDS
-
2.5ACRES
-
0BATHS
-
01/2 BATHS
School Ratings & Info
Description
2.50 Acres of land, corner lot, it is a great investment opportunity in the developing Antelope Valley where land is still affordable. Zoned R-A, residential agricultural, cross streets are Ave C12 & 43rd St. West within the community of Caliche, existing ranch homes around the subject land. Located just 1 hour north of Los Angeles. Zoning: R-A , 2.5 Acres ; Size: 662 x 165; APN: 3113-014-009 ; GPS: 34.778431, -118.206045
Related Properties
Based on information from California Regional Multiple Listing Service, Inc. as of 2026-01-13T00:27:03.79. This information is for your personal, non-commercial use and may not be used for any purpose other than to identify prospective properties you may be interested in purchasing. Display of MLS data is deemed reliable but is not guaranteed accurate by the MLS or Pinnacle Real Estate Group. Licensed in the State of California, USA.
